Suelo residencial en Barcelona de m2


SOLAR EN VENDA CLAUS 7B

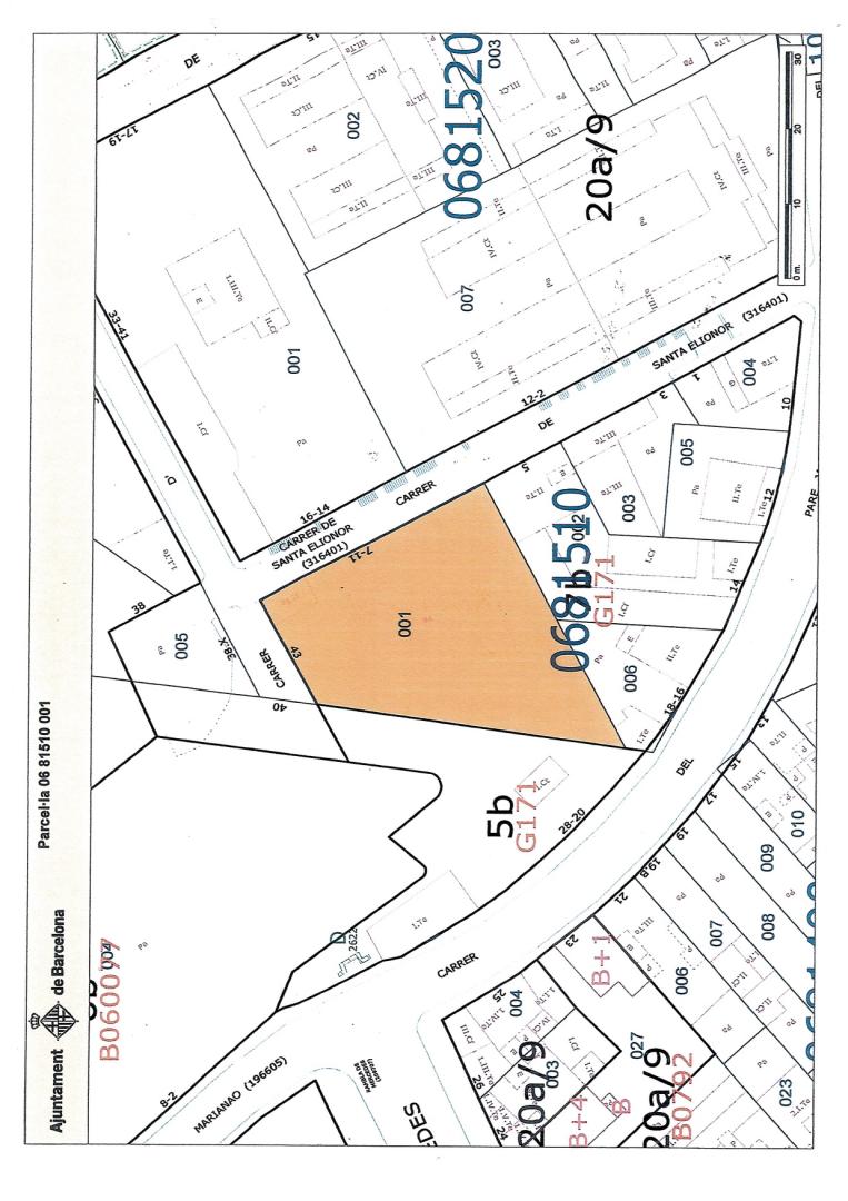
Solar de 1000m2 en Barcelona, NO se puede edificar vivienda. Es clave 7b, para edificar equipamientos.

Datos

  • Referencia:  SR-ELIONOR7
  • Precio de Venta:  450.000 €
  • Tipo:  Suelo (Suelo residencial)
  • Referencia Catastral:  9550301DF2895B0001ZQ
  • Superfície útil:  1047 m2

Características

  • Calificación urbana:  Otros
  • Centros sanitarios
  • Centros enseñanza y guarderias
  • Ubicación local:  A pie de calle
  • Categoria:  Categoria 1 a 4
  • Indice de referencia de precios de alquiler:  No disponible

Certificado Energético

Consumo de energía: KWh / m2 año
Emisiones: kg CO2 / m2 año
Escala de la Calificación Energética Consumo de Energía Emisiones
A (más eficiente)
B
C
D
E
F
G (menos eficiente)

Localización

  • País: España
  • Comunidad: Cataluña
  • Provincia: Barcelona
  • Localidad: Barcelona
  • Zona: Gràcia / La Salut
  • Situación concreta: Calle Santa Elionor
  • Tipo vía: Calle
  • Nombre vía: Santa Elionor
  • Código Postal: 08024

Mapa

¿Deseas más información sobre este inmueble?